找回密码
注册会员
发新帖
97_avatar_middle

39万

积分

0

好友

4万

主题
online_member 发表于 2021-9-23 11:07:18 | 查看: 193| 回复: 0
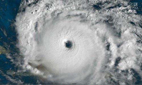
  “飓风眼”是飓风中心一块比较圆的区域,那里风力相对较小,强风会从“飓风眼”向外延伸。这里的降雨量很少或者没有,有时候还能看得见蓝天和星斗,是表面压力最小、顶端温度最高的一个区域。

       
在飓风眼中非常的安全,风力相对较小且空气比较温暖851 / 作者:UFO爱好者 / 帖子ID:69605

          平静的“飓风眼”周围,是圆环状的深对流“眼墙”―――强热带飓风中表面风力最大的区域。由空气构成的“飓风眼”会慢慢下沉,而“眼墙”的空气不断上升。这一过程会形成缓和的上升气流和下沉气流,偶尔也会非常强烈。由于下沉气流的压缩升温,“飓风眼”中的空气比较温暖。

       
在飓风眼中非常的安全,风力相对较小且空气比较温暖42 / 作者:UFO爱好者 / 帖子ID:69605

        飓风眼出现的原因
          根据大量探测结果显示,“飓风眼”内部的低层空气相对潮湿,而高层则恰恰相反。也就是说,下沉的“飓风眼”并没有接触海平面,其下沉幅度在海平面以上大约1到2英里的位置。强热带风暴中“飓风眼”所具有的某些特性,与涡流、龙卷风、海龙卷、沙尘暴等其他旋风现象有着相同之处。这种特性也是许多旋转流体流动的基本原理。

          什么是“飓风眼”?“飓风眼”是怎样形成的?

          “飓风眼”是飓风中心一块比较圆的区域,那里风力相对较小,强风会从“飓风眼”向外延伸。这里的降雨量很少或者没有,有时候还能看得见蓝天和星斗,是表面压力最小、顶端温度最高的一个区域。

       
在飓风眼中非常的安全,风力相对较小且空气比较温暖138 / 作者:UFO爱好者 / 帖子ID:69605

          美国是世界上龙卷风最多发的国家,陆地龙卷风数目大概是全欧洲的四倍。原因在于北美大陆的特殊地形。北美大陆南起北赤道地区,北到极地,却没有东西走向的主要山脉。世界上的龙卷风多发生在中纬度地区,南北走向的洛矶山脉阻断了从西方吹来的盛行风下部带来的湿润空气,这使得对流层中部干燥空气在洛矶山东部下降产生下降干燥气流,而墨西哥湾带来湿热低气流。冷热气流的交会碰撞极易产生涡旋,这就是为什么美国多发龙卷风的原因。

          飓风眼”是飓风中心一块比较圆的区域,那里风力相对较小,强风会从“飓风眼”向外延伸。这里的降雨量很少或者没有,有时候还能看得见蓝天和星斗,是表面压力最小、顶端温度最高的一个区域。
     
  
        

        在飓风眼中非常的安全
       
在飓风眼中非常的安全,风力相对较小且空气比较温暖612 / 作者:UFO爱好者 / 帖子ID:69605

          很多人都认为飓风非常可怕,而飓风眼肯定也不会好到什么地方去,其实这风眼是飓风中唯一一个最安全的地方,如果遇到飓风,唯一的生存希望就是风眼,前面已经了解了,它是飓风体内表面压力最小、顶端温度最高的一个区域,所以说在飓风眼中是非常的安全。

          近日,据CNN报道,一名飓风猎手飞上天空,直接穿过灾难性风暴的飓风眼,这场风暴可能会摧毁美国东部的部分地区。在风暴中心出现之前,这架小型飞机在浓密的云层中上下浮动,这场风暴迫使100多万人撤离家园。这段延时视频显示,飞机被一圈灰色云层所包围,然后冲破一片寂静,天空湛蓝。

       
在飓风眼中非常的安全,风力相对较小且空气比较温暖34 / 作者:UFO爱好者 / 帖子ID:69605

          政府“飓风猎手”尼克·安德伍德在推特上分享了这段不可思议的视频,并配上了文字:“这可能是我拍摄过的最酷的东西。”他的任务非常艰巨,每一次飓风调查飞行通常需要8-12个小时,要到达风暴中心,飞机必须首先冲破暴雨和风。研究人员在飞机上投放了一种叫做“水滴探空仪”(dropwindsondes)的圆柱形全球定位系统(GPS)仪器,这种仪器会随飞机尾流在飓风中漂移。

          飓风猎人尼克·安德伍德分享了他在风暴中拍摄的令人难以置信的镜头

         
          当它们下落时,就会传递有关风速、方向、气压、温度和湿度的关键读数。这有助于科学家预测风暴的特征和下一步行动,从而为未来的风暴做好准备。一位推特用户评论了这段令人震惊的视频,称其“美丽而恐怖”。

          佛罗伦斯飓风是今年最强大的风暴,被定为4级,风速为每小时130英里。美国国家飓风中心(NHC)称,预计飓风将于周四或周五早些时候袭击北卡罗来纳州南部海岸。

         
        飞行通常需要8-12个小时
          在飞机上的研究人员将圆柱形GPS仪器称为“水滴探空仪”

          美国国家气象局(National Weather Service)对美国有线电视新闻网(CNN)表示:“这可能是卡罗来纳海岸部分地区一生中遭遇的一场风暴,考虑到戴安娜(Diana)、雨果(Hugo)、弗兰(Fran)、邦尼(Bonnie)、弗洛伊德(Floyd)和马修(Matthew)等飓风的影响,这说明了很多问题。”并不是每个人都在为极端天气而奔波,35岁的布拉德·考林(Brad corering)计划在威尔明顿(Wilmington)的熟食店(delicatessen)度过难关。他说:“佛罗伦斯飓风就要到来,我不会恐惧或恐慌。这将会发生。我们只是需要弄清楚如何度过难关。

       
在飓风眼中非常的安全,风力相对较小且空气比较温暖370 / 作者:UFO爱好者 / 帖子ID:69605

          NHC最新预报显示风暴在海岸附近徘徊,带来连日的暴雨,可能导致南卡罗来纳到维吉尼亚的内陆洪水泛滥。北卡罗来纳州部分地区的降雨量可能达到一米。北卡罗莱纳州州长库伯预测,该州将有数以万计的家庭和企业被洪水淹没。

          “留给我们准备的时间不多了,”库柏警告说。美国总统唐纳德特朗普(Donald Trump)在推特(Twitter)上警告了飓风的危险性,并赞扬了他的政府对过去飓风的处理,驳斥了外界对其去年在波多黎各对玛丽亚(Maria)飓风做出反应的批评。大约有3000人死于这场风暴。
00_avatar_middle
您需要登录后才可以回帖 登录 | 注册会员

手机版|UFO中文网

GMT+8, 2026-5-10 21:34

Powered by Discuz! X3.5

© 2001-2026 Discuz! Team.

快速回复 返回顶部 返回列表