找回密码
注册会员
发新帖
03_avatar_middle

181

积分

0

好友

10

主题
online_member 发表于 2023-3-11 19:19:28 | 查看: 375| 回复: 5
除了咬伤,毒隐翅虫这种虫体爆炸后喷射毒液的相似案例也可以聊聊……
online_member 发表于 2023-3-11 19:19:44
红背蜘蛛是一种剧毒蜘蛛,主要分布在澳大利亚,身长2-8毫米,背后有明显的红色条纹。凡是人被咬五分钟之后,伤口就会变得又热又痛。如果没有血清的治疗,人就会在几小时死亡。这种蜘蛛会表现出异性相食的行为,即雌性吃掉它的配偶;然而,红背蜘蛛不仅对它们的配偶很危险,而且对人类也很危险。它有一种最强的蜘蛛毒液,会导致所谓的乳酸症,这是一种有一系列症状的疾病,包括疼痛、恶心、激动、头痛、呕吐和出汗,更糟糕的是,红背蜘蛛很容易在人类活动附近发现,每年咬伤数千人。

世界上有哪些剧毒的昆虫?被它们咬伤会有什么后果?71 / 作者:成都路人甲萌 / 帖子ID:115239

世界上有哪些剧毒的昆虫?被它们咬伤会有什么后果?608 / 作者:成都路人甲萌 / 帖子ID:115239

回复 显示全部楼层 道具 举报

online_member 发表于 2023-3-11 19:20:22
首先,其它答主也提到了,“剧毒”一般指致命……
虽然谈毒性要谈剂量,不过生物能携带的毒量就是有限的。即使是个体能注入的最大剂量,地球上也没有任何昆虫能靠个体稳定杀人,所以这个问题严格来讲是不成立的(过敏不谈,人可以对无害的东西过敏)
当然,想必题主的意思其实就是要看看毒性较强的昆虫,而且强调与人的互动关系。咱们可以聊聊,究竟哪些昆虫类群在用毒方面比较危险,我们人类尤其需要注意。
<hr/>首先,符合“有毒”,有“化学防御”的昆虫类群是非常多的,其中可能对人构成伤害、造成痛苦的类群,大致可以这样分:
1、蛰刺类,包括各种蜂和蚂蚁

膜翅目-细腰亚目昆虫具有产卵器,其中的许多类群,产卵器特化为蛰针,可以用于注射毒素
这个性状主要起源于麻醉猎物并储存起来的蜂,最开始是用来注射对昆虫麻痹毒素的。这些毒素的作用对象是昆虫和其它节肢动物,对人没有什么效果。
不需要捕猎的类群,如蜜蜂,则特化了蛰针和毒液成分,用于对抗外敌(比如手贱的裸猿)。用于御敌的毒性,强调的效果是疼痛,尽量让外敌记忆深刻,再不来作死。
皮厚的哺乳动物遭到蜜蜂蛰刺会留下挂着毒腺的蛰针,持续释放毒素和警戒信息素。不过在造成痛苦的程度上,蜜蜂表现的并不突出。
蛰刺注毒的昆虫中,在疼痛方面表现最出色的是三个类群,子弹蚁蛛蜂蚁蜂
这仨都是营销号常客了。
近猛蚁亚科Paraponerinae只有1属1种,即传说中的子弹蚁,这种来自中南美洲的蚂蚁的工蚁体长可达3厘米,蛰针长得离谱,毒性也较剧烈,是少数真正能伤人的昆虫源神经毒。

世界上有哪些剧毒的昆虫?被它们咬伤会有什么后果?1000 / 作者:123457489 / 帖子ID:115239

子弹蚁Paraponera clavata

据说其蛰刺的剧痛如遭枪击,而且会带来持续的全身疼痛、心悸,持续一整天。
最出名的蛛蜂则是沟蛛蜂属Pepsis和半沟蛛蜂属Hemipepsis里狩猎捕鸟蛛的种,有个霸气的英文名“塔伦图拉之鹰”,据说它们蛰刺带来的剧痛仅次于子弹蚁,不过仅持续几分钟。

世界上有哪些剧毒的昆虫?被它们咬伤会有什么后果?307 / 作者:123457489 / 帖子ID:115239
这类蛛蜂的毒大概并非针对哺乳动物特化的,而是用于击倒巨大的捕鸟蛛,因此对人的效果一般。
以上这俩咱们国内碰不到。不过第三类,蚁蜂科Mutillidae,则比较常见。

世界上有哪些剧毒的昆虫?被它们咬伤会有什么后果?834 / 作者:123457489 / 帖子ID:115239

见到这个配色的“蚂蚁”可千万别碰哦

蚁蜂的雌虫无翅,因此得名蚁蜂。其艳丽的警戒色昭示了其危险性,据说其蛰刺引起的痛苦仅次于子弹蚁和蛛蜂。相对于小而不起眼的体型,它们的蛰针相当长。

当然,即使没有那么疼痛,招惹任何蜂和蚂蚁都是强烈不建议的。好消息是,这些蜂都不会尝试主动攻击人,大多数时候表现得非常温和,只要别上手抓握、或惊扰真社会性蜂蚁的巢,就不会有事。
因为它们的御敌效果基本只是疼痛,如果遭到攻击,倒也无需就医(过敏除外)。真社会性蜂和蚂蚁的巢受惊扰时会蜂拥而出,遭到成群攻击时伤害可能较大,可千万不要做什么捅马蜂窝、踩火蚁窝之类的作死举动哦……
2、叮咬类,捕食性的蝽

第二类是靠口器注毒的昆虫。主要是捕食性的蝽。
蝽的口器为刺吸式,和吸管一样。这种起源自吸菜汁的口器不适用于迅速杀死猎物、也不方便取食,因此捕食性的刺吸昆虫都带有带毒、带预消化效果的唾液。如果注入人的体内,这种足以溶解肌肉的毒液,即使是微量也能引起极大的疼痛。
猎蝽是其中最具代表性的。

世界上有哪些剧毒的昆虫?被它们咬伤会有什么后果?670 / 作者:123457489 / 帖子ID:115239

红股小猎蝽 Vesbius sanguinosus

猎蝽在我们的生活中相当常见,很多人都经历过不小心触碰猎蝽导致的剧痛……
值得一提的是双斑猎蝽Platymeris sp.,这类大型猎蝽走法师路线,受惊扰时可以喷射毒液。如果进入眼睛,可以导致暂时的失明。

世界上有哪些剧毒的昆虫?被它们咬伤会有什么后果?750 / 作者:123457489 / 帖子ID:115239
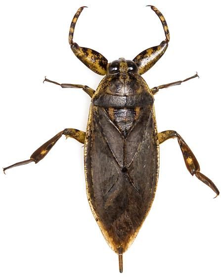
其它类群的捕食性蝽多是水生的,其中最出名的是负子蝽科的田鳖Lethocerinae,这些巨大的蝽以能捕杀蛇和龟著名。它们叮咬时注射的消化液量也较大,因而极度痛苦。

世界上有哪些剧毒的昆虫?被它们咬伤会有什么后果?455 / 作者:123457489 / 帖子ID:115239
不过,由于身体结构原因(嘴短而且没脖子),它们要咬到人并不容易。这些蝽在国内和一些其它国家被用作食材。由于种种原因已经不再常见。
其它捕食性水生蝽的叮咬也能带来剧痛,实不相瞒,我被体长不到1厘米的仰泳蝽咬过,那痛感如今仍记忆犹新……
这些主动注毒的昆虫都不会主动攻击人,只要不去触碰就很安全。如果真的不幸被咬,疼痛会非常强烈,但这只是肌肉溶解的效果,持续时间很短,不会有后遗症。所以倒也不需要太担忧。
3、接触类,一些有毒毛毒刺的鳞翅目幼虫

-以下开始有毛虫照片出没,恐毛虫者退散-

一些蛾子的幼虫体表有毒毛或毒刺,接触时容易折断,会渗出毒液,或者毒刺本身会扎进皮肤。
毛毛虫可谓令人闻风丧胆,但要我说,绝大多数毛虫在毒性方面根本不值一提,最多就是有点痒。

世界上有哪些剧毒的昆虫?被它们咬伤会有什么后果?394 / 作者:123457489 / 帖子ID:115239

体型很大的线丽毒蛾Calliteara grotei幼虫。尽管造型非常惊悚,但我撸了之后什么也没有发生……

当然,刺蛾科Limacodidae的毒性就比较猛了。我自己比较好运目前没有体验过,欢迎受过洋辣子八角丁折磨的各位来分享一下自己的经历。

世界上有哪些剧毒的昆虫?被它们咬伤会有什么后果?512 / 作者:123457489 / 帖子ID:115239

杭州路边的灌丛里全是刺蛾!

国内能遇到的最痛苦的就是刺蛾了,不过还好,不接触是肯定没事的,而且刺蛾那蛞蝓一样的腹面吸附力也不错,从树上掉进衣服的概率也是比较低的(但愿吧)……有些省份的刺蛾是真多啊,发生季节最好还是完全不要靠近路边植被比较好…
好消息是,这些蛾子幼虫体表毒毛毒刺的毒性也是不强的,即使被撩到了也就难受个几天就会没事了。当然,万一过敏,还请及时前往医院就医。

4、毒血类,主要是一些甲虫,如毒隐翅虫

终于轮到题主点名的毒隐翅虫了。
这一类昆虫在体内含有毒素。体内有毒的昆虫很多,但绝大多数对人没有任何影响。少数毒性强烈,接触皮肤也能引起明显症状,其中就以一些甲虫为代表。

世界上有哪些剧毒的昆虫?被它们咬伤会有什么后果?36 / 作者:123457489 / 帖子ID:115239

毒隐翅虫 Paederus sp.

隐翅虫皮炎Paederus dermatitis由隐翅虫毒素Pederin或近似物质引起,这是真正意义上的剧毒,毒性非常强烈,仅仅极微量(含量仅占毒隐翅虫体重的0.025%)接触皮肤就能引起显著的症状。
不过还好,因为虫很小,含毒量也很少,隐翅虫皮炎通常仅是轻微的皮疹,偶尔引起较严重的局部水泡。应急处理可以使用肥皂水。
由于毒隐翅虫几乎在全国各地都很常见,而且时常趋光误入室内,可被人有意或无意地拍死,因而希望各位一定要注意。虽然很少出现严重症状,受其影响还是很不好受的。
还是强调一下,只有拍死毒隐翅虫才会渗出毒液,单纯爬过是不会的。虽然要警惕,也请不要过分夸大毒隐翅虫的危害,室内出现疑似毒隐翅虫的生物也不需要紧张。
其它隐翅虫大多是无毒的,但可能有令人很不愉快的难闻分泌物,也不建议拍死。

除了毒隐翅虫外,同属于鞘翅目的芫菁Meloidae也需要提一提;

世界上有哪些剧毒的昆虫?被它们咬伤会有什么后果?434 / 作者:123457489 / 帖子ID:115239

豆芫菁 Epicauta sp.

芫菁的体液含有斑蝥素Cantharidin,这也是剧毒,在美国被归类为extremely hazardous substance(极度危险物质),只要接触微量就会导致化学灼伤,会起泡。
芫菁与毒隐翅虫不同,它具有反射性出血机制,只要受惊,就会主动从关节中渗出有毒血液。因此绝对不要触碰。
内服有致命的可能,因为芫菁会待在植物上,马和牛之类的食草动物可能因为摄入过多的芫菁而死亡,相当危险。人不会吃下芫菁,如果只是皮肤影响,过段时间就会自动痊愈,倒也不用担心。
不过,斑蝥素可以药用,但是使用方法不对可是要命的。如果传统药物中含有芫菁,千万慎用啊。

其它类似机制的昆虫还包括拟花萤和荔蝽等,症状会更轻,但也可能会引起持续的刺痛。最好的方法就是,遇到昆虫都不要拍死……
<hr/>最后还是希望说一句:世界上的绝大多数昆虫是完全无害的,尤其是只要人不特意招惹,绝大多数昆虫都是完全不伤人的。但的确有一小部分昆虫需要注意,而理智的应对方法可以避免这些危害。
我恳切的希望有耐心能读完这篇长文的各位,以后生活中都能免于被这些昆虫伤害。也希望各位不要因为少数有毒昆虫而对整个昆虫纲抱有恐惧感或产生偏见。

回复 显示全部楼层 道具 举报

online_member 发表于 2023-3-11 19:21:06
世界上毒液毒性最强的昆虫马里科帕收获蚁/Maricopa harvester ant (Pogonomyrmex maricopa)

世界上有哪些剧毒的昆虫?被它们咬伤会有什么后果?969 / 作者:小坠泪缆 / 帖子ID:115239

Alex Wild

世界上有哪些剧毒的昆虫?被它们咬伤会有什么后果?516 / 作者:小坠泪缆 / 帖子ID:115239

Insects Unlocked

世界上有哪些剧毒的昆虫?被它们咬伤会有什么后果?587 / 作者:小坠泪缆 / 帖子ID:115239

中间地上如同小土包一般隆起的就是收获蚁的巢穴(出口)

马里科帕收获蚁毒液的半数致死剂量为0.12 mg/kg(在老鼠身上测试的数据),12次叮咬就能够杀死一只4斤重的老鼠。
而所谓半数致死剂量,是指“能杀死试验中一半个体的毒物剂量”。如果按照一个成年人类60kg的体重计算,给100个人每人注射7.2mg的马里科帕收获蚁毒液,其中一半人会死亡
↑昆虫中的最强毒性,差不多就这样

然而抛开剂量谈毒性就是耍流氓
在现实环境里,昆虫想靠毒液毒死人类几乎是一件不可能的事情
还是以马里科帕收获蚁为例,一只蚂蚁的体重只有几毫克,其携带的毒液量,更是少之又少。再加上马里科帕收获蚁的攻击性并不强,除非不小心踩进蚂蚁窝,或者用其它方式让蚂蚁感受到威胁,不然马里科帕收获蚁是几乎不会攻击人类的
而即使有人不小心踩进蚂蚁窝,在被咬了几口后,只要快速跑远,再拍掉身上的蚂蚁,危机差不多就能解除了
而如果只是被咬上一口——马里科帕收获蚁的毒液会导致长达四个小时的剧烈疼痛,然后,就没什么其它严重问题了…

有毒的昆虫其实并不少,比如:

世界上有哪些剧毒的昆虫?被它们咬伤会有什么后果?593 / 作者:小坠泪缆 / 帖子ID:115239
↑芫菁(Meloidae)

世界上有哪些剧毒的昆虫?被它们咬伤会有什么后果?853 / 作者:小坠泪缆 / 帖子ID:115239
↑马蜂(Polistinae)

世界上有哪些剧毒的昆虫?被它们咬伤会有什么后果?971 / 作者:小坠泪缆 / 帖子ID:115239

itchydogimages

↑基褐绿刺蛾/洋辣子(Parasa consocia

世界上有哪些剧毒的昆虫?被它们咬伤会有什么后果?288 / 作者:小坠泪缆 / 帖子ID:115239
↑以及打爆后会爆酸性毒液的毒隐翅虫(Paederus
然而所有的这些有毒昆虫都称上“剧毒”——它们基本上只能导致一些可以在短时间内恢复的皮外伤
而如果不具备致死的可能性,我觉得很难称之为“剧毒”

不过,昆虫也并非是无法通过叮咬导致人类死亡的
无论是看起来人畜无害的小蜜蜂

世界上有哪些剧毒的昆虫?被它们咬伤会有什么后果?223 / 作者:小坠泪缆 / 帖子ID:115239
还是看起来就凶得一匹的大虎头蜂/杀人蜂(Vespa mandarinia)↓

世界上有哪些剧毒的昆虫?被它们咬伤会有什么后果?320 / 作者:小坠泪缆 / 帖子ID:115239

抓住蜜蜂的大虎头蜂,自己看体型对比

世界上有哪些剧毒的昆虫?被它们咬伤会有什么后果?639 / 作者:小坠泪缆 / 帖子ID:115239
都是有明确的叮咬致人类死亡的案例,并且为数还不少
但比起“毒死人类”的论述,更准确的致死原因,应该说是“反复叮咬导致的急性过敏反应”
急性过敏反应,又称过敏性休克(Anaphylaxis)反应,是指一种严重的全身性过敏反应,发病极快且具有致命性。通常会伴随以下症状:起痒疹、舌头或咽喉肿胀、呼吸困难、呕吐、头晕及低血压。这些症状往往会在数分钟到数小时之间发作,如果没得到及时的救治,会有可能导致死亡
通常而言,在一个人第一次被蜜蜂/马蜂等叮咬时,是不会触发急性过敏反应的;但若是在此之后,再次被蜜蜂/马蜂等叮咬(尤其是多次叮咬),就有可能触发急性过敏反应(但也有可能永远不触发,完全看脸)

世界上有哪些剧毒的昆虫?被它们咬伤会有什么后果?547 / 作者:小坠泪缆 / 帖子ID:115239

过敏性休克的狗

但急性过敏反应并非那么难处理,如果曾经被马蜂等叮过(尤其是需要跟这些玩意打交道的职业,比如我们生态狗),职业的应对方式就是随身携带两只肾上腺素注射笔(Epipen,我在去年9月被几只黄蜂叮了后就买了两支背着,医保折扣后只要10美金左右)

世界上有哪些剧毒的昆虫?被它们咬伤会有什么后果?536 / 作者:小坠泪缆 / 帖子ID:115239
若是再被马蜂等叮咬并触发急性过敏反应,出现头晕/呼吸困难等症状,就掏出肾上腺素注射笔给自己来一针,然后…差不多就没什么事了
不然就需要尽快就医_(:_」∠)_

另外值得一提的是,世界上(除了人类)每年致人类死亡最多的动物是——蚊子
蚊子虽然不具备“毒性”,但携带传播的疾病(如疟疾)导致了每年超过70万人的死亡
如果不局限于本身的毒性的话,“最毒”的昆虫,其实应该是蚊子

世界上有哪些剧毒的昆虫?被它们咬伤会有什么后果?870 / 作者:小坠泪缆 / 帖子ID:115239

超级讨人厌的白纹伊蚊

最后给大家介绍一位狠人,Justin O. Schmidt

世界上有哪些剧毒的昆虫?被它们咬伤会有什么后果?943 / 作者:小坠泪缆 / 帖子ID:115239
就是右边这位老大爷↑
这位自身昆虫学家有个爱好,就是拿昆虫(及其它节肢动物)叮自己,然后测试评估叮咬的疼痛

世界上有哪些剧毒的昆虫?被它们咬伤会有什么后果?356 / 作者:小坠泪缆 / 帖子ID:115239
然后试过的昆虫多了后,他甚至整出了一份广受认可的“施密特昆虫叮咬疼痛指数”(The Schmidt insect sting pain index)

世界上有哪些剧毒的昆虫?被它们咬伤会有什么后果?68 / 作者:小坠泪缆 / 帖子ID:115239

世界上有哪些剧毒的昆虫?被它们咬伤会有什么后果?338 / 作者:小坠泪缆 / 帖子ID:115239

世界上有哪些剧毒的昆虫?被它们咬伤会有什么后果?273 / 作者:小坠泪缆 / 帖子ID:115239
↑就是这玩意
不同昆虫的叮咬疼痛感级别各异。最弱鸡的隧蜂(sweat bee)叮咬的疼痛指数只有1,而最刺激的子弹蚁 (Bullet ant)叮咬的疼痛指数足足4+
如果这篇回答看得人多的话,我就给大家展开介绍下这个 施密特昆虫叮咬疼痛指数 吧

犬君拌汪酱 肝过头想要放松下的小说生态狗
喜欢本回答话给个点赞喜欢分享关注四连吧!!!

回复 显示全部楼层 道具 举报

online_member 发表于 2023-3-11 19:21:18
世界上有一些剧毒的昆虫,被它们咬伤会有不同程度的后果。例如:
1.收割蚁:被广泛认为是地球上最毒的昆虫,收割蚁蜇伤的毒性是蜜蜂毒液的 20 倍,是菱纹背响尾蛇的 35 倍!
2.蝎子:野生蝎子毒性较大,一旦被它蛰伤 ,轻则出现肿胀疼痛症状,重则会有剧烈的中毒反应,处理不当甚至会危及生命。
3.蜈蚣:有强烈的攻击性和杀伤力,其体内含有多种神经毒素和组织坏死因子,被咬后会出现局部红肿、灼痛、麻木等症状,严重者可引起呼吸困难、心律失常、血压下降等全身中毒反应。
4.蜜蜂:虽然一般来说被蜜蜂叮咬只会引起轻微的疼痛和红肿,但是对于过敏体质的人来说,被蜜蜂叮咬可能会导致严重的过敏反应,甚至危及生命。
5.毒刺鞘翅虫:这种昆虫有着鲜艳的颜色和强烈的毒性,它们可以通过皮肤接触或口服释放出一种叫做樟脑酸的化学物质,造成灼伤、水泡、溃疡等皮肤损伤,以及恶心、呕吐、头晕等全身中毒症状。
6.火鞭子:这种昆虫属于长角亚目,它们有着类似鞭子的触角和尾部,可以喷射出一种含有甲酸和乙酸的液体,对眼睛、皮肤和呼吸道造成刺激和灼伤。
7.马蜂:这种昆虫是一种大型的黄蜂,它们的毒刺可以穿透人类的皮肤和衣物,释放出一种含有神经毒素和组织坏死因子的毒液,造成剧痛、红肿、溃疡等局部损伤,以及过敏性休克、心律失常等严重并发症。
8.毒蝎:这种昆虫是一种具有强大攻击性和防御性的节肢动物,它们的尾部有着一个带有毒刺的钩子,可以注入一种含有神经毒素和血管活性物质的毒液,导致剧痛、麻木、抽搐等局部反应,以及高血压、心跳加快、呼吸困难等全身反应。
如果你不幸被这些昆虫咬伤,请及时就医,并尽量保留咬伤部位的样本或拍摄清晰的图片以便医生诊断和治疗。

回复 显示全部楼层 道具 举报

00_avatar_middle
您需要登录后才可以回帖 登录 | 注册会员

手机版|UFO中文网

GMT+8, 2026-4-29 22:00

Powered by Discuz! X3.5

© 2001-2026 Discuz! Team.

快速回复 返回顶部 返回列表